Sail Rock Diving Guide: Best Dive Site in the Gulf of Thailand
Last Updated on December 6, 2025 by Pilar
I love diving in Thai waters and I’ve done a lot of diving around the Gulf of Thailand, but Sail Rock diving is the top of them all. I’ve done more than 30 dives on this solitary pinnacle—my first one was during my Advanced Open Water course—and ever since, every time I’m in Koh Phangan, I make sure to return. I’ve even been lucky enough to see more than one whale shark here over the years, and I never get tired of admiring the soft purple corals that cover the site.
In this guide you’ll find the best time to dive, what you can actually expect underwater, and how to plan a smooth trip. If you’re looking for a clear, honest, and up-to-date guide to Sail Rock, this is it.
Quick Facts: Sail Rock at a Glance
| Category | Details |
| Location | Between Koh Phangan and Koh Tao, Gulf of Thailand |
| Type of Site | Vertical pinnacle |
| Depth Range | 5–40 m |
| Best Season | March–October |
| Typical Visibility | 10–25 m |
| Currents | Mild to strong, variable by side of the rock |
| Water Temperature | 27–30°C |
| Difficulty Level | Suitable for Advanced; Open Water with experience |
| Highlight Feature | The Chimney swim-through (18 m → 6 m) |
| Common Marine Life | Barracudas, batfish, groupers, trevallies, moray eels |
| Occasional Encounters | Whale sharks |
| Typical Trip Duration | Half-day from Koh Phangan; full day from Koh Tao |
| Average Price | 2-tank trip: 70–100 USD |
Where Is Sail Rock Located?
Exact Position in the Gulf of Thailand
Sail Rock, or Hin Bai in Thai, is located in the open water between Koh Phangan and Koh Tao, a solitary pinnacle in the middle of the sea. It is not connected to any reef, channel, or coastline, and it rises directly from the sand at about 40 meters before sticking about 10 meters above the surface.
Because of its isolated location, boats from both islands sail toward the same single rock in the deep channel that separates them. That is one of the reasons why Sail Rock diving feels so special. You are diving a formation that stands completely on its own, far away from any other.
Why This Location Creates Such Good Marine Life
Sail Rock abundance of marine life is not luck, it has all to do with its location.
The channel between Koh Tao and Koh Phangan creates a steadye flow of open-water currents, and Sail Rock is positioned right in the middle of this. Those currents bring in plankton and nutrients, and the pinnacle acts like a barrier, pushing that water upward. Wherever you get this kind of movement, you get life.
Smaller fish gather first to feed, then the bigger predators — trevallies, mackerels, barracudas — come in to hunt. The shape of the rock also helps: you’ve got shallow shelves, mid-water walls, and deeper sandy slopes all packed into one tiny area, so every depth layer has its own activity going on.


Put all of this together and you get the reason divers love Sail Rock: even on a normal day, there’s always something happening in the blue. And when plankton levels are high, this is one the best places in the Gulf to spot a whale shark in Thailand.
Travel Times From Each Island
Even though the map makes all three islands look quite similar in distance, the reality is different:
- Koh Phangan → Sail Rock
~1 hour
Phangan is the closest island (about 15 km away), which makes it the easiest and often the cheapest place to dive Sail Rock from.

- Koh Tao → Sail Rock
1.5 to 2 hours
Slightly farther north. Boats from Koh Tao usually take a bit longer, but many divers still go from Tao because it’s the main dive-training hub. - Koh Samui → Sail Rock
1.5 to 2 hours by speedboat
Samui is actually the furthest island (around 27–30 km). Operators compensate with fast speedboats, so the travel time ends up similar—but it’s usually the most expensive option.
Convenience ranking:
1️⃣ Koh Phangan — closest & most convenient
2️⃣ Koh Tao — longer ride but lots of dive schools
3️⃣ Koh Samui — furthest & priciest (speedboats make it faster)
Dive Conditions at Sail Rock (Depth, Current, Visibility, Temperature)
Depth Profile Explained
Sail Rock is a vertical limestone pinnacle with a very simple but spectacular depth profile. The shallowest parts start around 5–6 metres, where you’ll find schools of juveniles, anemones, and the top edge of the rock. As you descend along the walls, the structure drops almost straight down to 30–32 metres, and from there the sandy bottom continues sloping to about 40 metres.
This huge vertical range in such a small footprint is what makes the site so interesting—you can explore swim-throughs around 12–18 metres (including the famous “Chimney”), watch hunting action in mid-water, and then dip deeper to look for groupers, snappers, or barracudas cruising along the lower ledges.
At the base of the pinnacle, on the sandy area around 18–22 metres, you’ll also find a few artificial metal structures that local dive operators placed years ago to encourage fish aggregation. They’re easy to miss if you don’t know where to look because they sit slightly away from the main wall. I’ve dived past them many times, and they’re often home to schools of fusiliers or curious batfish.

If you want to see what they look like underwater, here is a short clip I filmed during one of my dives:
Current Conditions & What to Expect
Currents at Sail Rock are highly variable, which is normal for a pinnacle sitting in open water. Some days the site is almost still; other days you’ll feel a gentle push, and occasionally it can get strong on one side while the opposite side stays calm.
Most dive boats anchor or moor on the more sheltered sections, which makes the descent line easy to follow even when there’s movement in the water. If currents do pick up, they usually hit one side of the rock first, while the opposite face creates a natural shadow zone with lighter flow. Dive guides will normally plan routes that use these protected areas, so even divers with modest experience can enjoy the site safely.

Visibility Range & Seasonal Changes
Visibility at Sail Rock usually ranges between 10 and 25 metres, but like anywhere in the Gulf of Thailand, it can change quickly. The site often experiences thermoclines—distinct layers of cooler water that suddenly drop the temperature and visibility when you swim through them.
A thermocline feels like passing through a cold, blurry cloud:
- Water becomes a few degrees cooler
- Visibility can drop by 50% for a moment
- Below the layer, conditions may clear up again
These thermoclines are one of the reasons whale sharks occasionally pass through—they follow plankton that collects around these layers.

In general:
- April–September: better vis on average
- October–January: more chance of reduced vis due to monsoon winds
- Year-round: thermoclines can appear at any depth
Water Temperature by Season
Water temperatures stay warm throughout the year, usually between 27–30°C. Here’s a simple, accurate snapshot:
| Season | Temperature |
| December – February | 27–28°C |
| March – May | 29–30°C |
| June – August | 28–30°C |
| September – November | 27–29°C |
My Personal Experience Diving Sail Rock
I’ve lost count of the number of times I’ve dived Sail Rock — but it’s definitely more than thirty. It’s funny because my very first dive here was during my Advanced Open Water course, when everything still felt new and a little overwhelming. Yet even on that first day, the moment I descended along the wall and saw the sheer drop of the pinnacle disappearing into the blue, I knew this place was different.

Since then, every time I return to Koh Phangan, Sail Rock is the first dive I book. There’s something addictive about it. The conditions are never exactly the same twice: one day it’s calm with crystal visibility and schools of barracuda spiralling lazily around the rock; another day the currents wake up and the whole site becomes alive with hunting trevallies and clouds of fusiliers.

Some of my favourite moments happened here — including seeing more than one whale shark over the years. They appear the way they always do in the Gulf: suddenly, quietly, almost like a shadow emerging from the greenish-blue water. They usually stay around the mid-water layers, cruising calmly, uninterested in the busy divers below. It’s impossible not to stop everything you’re doing and simply follow them with your eyes.
Sail Rock also has small details I’ve grown to love. The soft purple corals that colour the walls are some of the prettiest in the whole region. The resident schools — batfish, snappers, barracudas — feel almost familiar now. Even the little surprises, like the sharp thermocline drops or the sudden switch between calm and current on different sides of the pinnacle, are part of what makes the site so special.

Over time I’ve explored everything here — the Chimney, the top shallows, the deeperledges, and even the lesser-known areas likethe artificial metal structures tucked away on one of the sandy sections. (I have video of these, so I’ll mention them later in the guide.) Every part of Sail Rock has its own mood, and I still enjoy finding new angles and new ways to film it. After all these dives, the truth is simple:
Sail Rock never gets old.
No matter how many times you drop down that line, it always has something new to show you.



Best Time to Dive Sail Rock
Best Overall Season (May–September)
According to long-term monitoring by the Thai Department of Marine & Coastal Resources (DMCR), plankton levels and visibility patterns in the Gulf follow a predictable seasonal cycle, which explains why conditions at Sail Rock tend to improve between May and September
Why This Season Is Ideal
- Calmer seas → smoother boat rides from Koh Tao, Phangan, and Samui.
- More predictable currents → especially important for navigating the Chimney and Secret Pinnacle.
- Better visibility → often between 15–25 m, with occasional crystal-clear days.
- More frequent trips → dive schools run daily boats due to high demand.
The Gulf of Thailand has its own micro-seasonality, and while the Andaman Sea has clearer waters in the dry season, Sail Rock shines in the mid-year months.

Whale Shark Season (When and Why Sightings Peak)
Most guides say “you can see whale sharks any time.”
True — but the peaks are not random.
When Sightings Peak
- March–May (pre-summer plankton blooms)
- September–October (post-monsoon nutrient mixing)
These periods consistently show the highest encounter rates because of a mix of environmental factors.
“Whale shark sightings around Sail Rock follow broader global migration patterns driven by plankton availability, a behavior explained in detail by NOAA’s whale shark migration research.”
Why Whale Sharks Come to Sail Rock
- Increased plankton density
Seasonal blooms make the area a feeding hotspot. - Gulf water circulation changes
Tides + nutrient mixing concentrate food near pinnacles. - Juvenile migration patterns
The Gulf tends to attract juveniles (3–6 m), which prefer shallower, nutrient-rich water. - Structure attracts baitfish
More baitfish = more filter feeders = more whale shark activity.
Sightings are never guaranteed, but Sail Rock is still one of the best whale shark locations in Thailand, especially in shoulder seasons.
When to Avoid the Site (Wind, Storms & Low Visibility)
Sail Rock is diveable year-round — but certain periods are less pleasant or less predictable.
Times With More Challenges
- November–January → Northeast monsoon
- Strong winds
- Rougher surface conditions
- Lower visibility (sometimes 5–10 m)
- Early June (“Windy June”)
- Not always bad, but often choppy
- Can affect the comfort of the boat ride, especially from Koh Samui
- Post-storm days anytime of year
- Silt gets suspended
- Visibility drops temporarily
- Currents can shift unpredictably
Should You Skip Sail Rock in These Months?
Not necessarily — but you should manage expectations:
- Visibility can vary wildly
- Trips may be cancelled last-minute
- Beginners may find the conditions stressful
Experienced divers usually still enjoy these months, especially for macro, big schooling action, and dramatic thermocline changes.
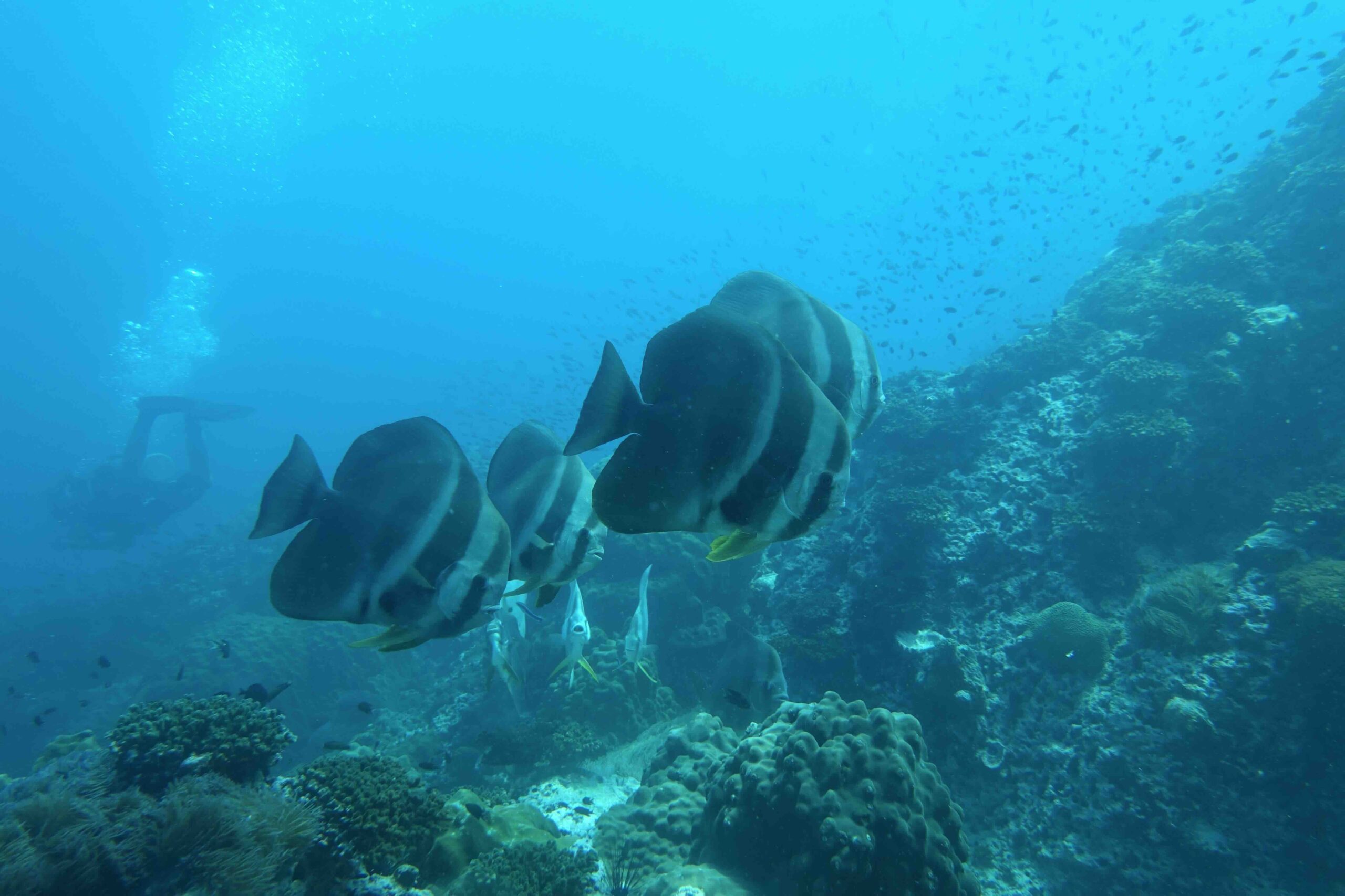
What Marine Life You Can See at Sail Rock
Macro & Reef Life
Sail Rock isn’t only about big fish. Some of my favorite surprises have been tiny.
Nudibranchs
Look closely on the sheltered eastern wall and around small cracks—Hypselodoris species are common, plus occasional green/black nudi species.


Scorpionfish & Stonefish
Well camouflaged and usually perched on ledges. They stay perfectly still, so you often need a trained eye (or a good guide) to spot them.
Shrimp Cleaning Stations
You’ll find cleaner shrimps working on groupers, trevallies, and even morays.
Batfish Cleaning Stations (I’ve Seen This Many Times)
This is one of the coolest and most overlooked behaviors at Sail Rock.
Batfish regularly line up at specific vertical sections of the rock—usually around 12–16 meters—hovering patiently while small cleaner wrasses pick parasites from their fins and gill covers.
I even have video evidence of this; it happens more often than divers realize.
Juvenile Species
Because of the nutrient-rich channel, you often find:
- juvenile angelfish
- baby parrotfish
- tiny filefish
- juvenile trevallies and snappers hiding near crevices
Macro photographers can spend an entire dive here exploring small corners
The Chimney: How to Dive Sail Rock’s Most Famous Feature
The Chimney is Sail Rock’s signature feature and the one thing almost every diver remembers. It’s a vertical swim-through that starts deeper, takes you through a narrow enclosed passage, and spits you out into bright shallow water — a very unique feeling, especially the first time you do it. After more than 30 dives at Sail Rock, I still enjoy going through it because it somehow feels slightly different on every dive.
Entry & Exit Points (Depth + Best Direction)
The Chimney has two main entry points, and which one you use depends on your comfort level, certification, and the conditions on the day:
✔ Lower Entrance (18–20 m)
This is the classic entrance, recommended for Advanced divers or confident Open Water divers with experience.
Depth: 18–20 m
Route: A narrow vertical tube that you follow upward
Exit: Out of a wider opening around 6–7 m
It’s the most “complete” version of the Chimney dive — you feel the full light transition as you rise.
✔ Upper Entrance (Around 12 m)
This is easier and more beginner-friendly.
Depth: 12 m
Route: Shorter horizontal section
Exit: Same upper opening at 6–7 m
Most instructors take Open Water divers in through this entrance because it avoids the narrow part.
Best Direction to Dive It
From bottom to top is the ideal flow. You get the most dramatic visual change as the light increases, and it’s easier to manage buoyancy when you’re ascending through a confined space.
Safety Tips (Buoyancy, Timing, Avoiding Traffic)
Despite being famous, the Chimney is safe when done correctly. Here are the key points:
1. Buoyancy control is everything
The passage is narrow, so it’s important to:
Keep fins still or use gentle frog kicks
Avoid touching the walls (they’re full of life)
Maintain slow, steady ascents
If buoyancy makes you nervous, take the upper entrance — it’s wider and shorter.
2. Follow your guide’s timing
The Chimney works best when teams take turns:
Your guide will check if other groups are inside
Never enter if you see bubbles coming down
Keep at least 3–4 meters distance from the diver ahead
Avoiding traffic makes it much more enjoyable.
3. Use the top opening for your slow ascent
You come out at 6–7 m, which is the perfect depth to:
Check your buoyancy
Look around for glassfish
Start a relaxed swim toward the shallow section
It’s a natural pause point.
For proper buoyancy and safe ascent practices — essential when diving the Chimney or strong currents of Sail Rock — I recommend following a recognized safety guide such as the BSAC Safe Diving Guide, which outlines worldwide-accepted procedures for weighting, buddy checks, ascent rate, and dive plannin
Perfect Moments for Photos & Videos
The Chimney is a great place for photos, but only if you do it safely. The best opportunities are:
✔ Just outside the top exit (6–7 m)
The light here is beautiful — especially when it filters down the opening.
Great subjects:
Glassfish
Juvenile fusiliers
Divers emerging from the opening
✔ The lower entrance (18–20 m)
If visibility is good, this is where you get atmospheric wide shots with divers entering the dark opening.
✔ Mid-water near the Chimney wall
Often you’ll find:
Batfish
Trevallies
Barracuda passing through
Great for video if the schools come close.
🌟 Personal Note )
Even though I’ve done the Chimney several times over the years, I still get that same little rush when I enter it. I don’t have a dramatic “first time” story — what I remember most is the moment when you leave the darker lower section and suddenly rise into that bright, shallow bowl at the top. It always feels like stepping out of a cave into sunlight.
I tend to slow down inside because there’s so much life on the walls: nudibranchs, tiny glassfish, and even small shrimp or juvenile fish hiding in the crevices. Every time I go through it, I notice something different, which is probably why I never skip it when I dive Sail Rock.
The Secret Pinnacle (Is It Worth It?)
Most divers never hear about the Secret Pinnacle until they arrive at Sail Rock, and even then only some dive guides mention it. It’s not actually a secret — just a smaller submerged rock formation located a short swim away from the main pinnacle.
Because it sits deeper and slightly detached from the main site, not every diver gets to see it. But when conditions allow and you’re diving with an experienced guide, it can be one of the most exciting parts of a Sail Rock dive.


Location & How to Navigate to It
The Secret Pinnacle lies a few dozen metres away from the main rock, separated by a patch of deeper sand and a slight drop-off. You won’t find it by accident — from the top of Sail Rock it’s completely invisible, and even from mid-depth you need good visibility to spot the silhouette.
Dive guides typically navigate to it using:
- Natural landmarks on the wall
- Depth cues (the ridge starts around 18–20 m)
- Compass headings from specific parts of the main pinnacle
The route is usually done from the south or southwest side, following the slope down until you reach the rock’s base. When visibility is good, the transition feels magical — you leave the crowded main pinnacle and suddenly another structure appears out of the blue.
On days with medium visibility, guides rely on compass navigation.
On days with poor visibility, most will simply skip it.
Why It’s for Experienced Divers Only
Although the Secret Pinnacle isn’t extremely deep, it requires more skill than the main site for several reasons:
1. Stronger currents away from the main wall
The moment you leave the protection of Sail Rock, you’re suddenly exposed to the full open-water current.
If currents are running, it can feel noticeably stronger than on the main pinnacle.
This is why:
- You need good air management
- You should feel comfortable swimming against or across a current
- Divers must stay tight as a group
If someone gets separated, it’s harder to reorient.
You’re in open water, without vertical reference
When you swim between the two pinnacles, there’s:
- No wall beside you
- No surface visual cues
- Often only sand below
Maintaining depth and buoyancy is essential. This swim is not ideal for nervous beginners or anyone who drifts upward when distracted.
The Secret Pinnacle itself is a deeper, steeper structure
Most of the interesting life is around 18–28 m, which means your time is limited and air consumption increases.
You may see:
- Trevallies hunting
- Larger barracuda
- Groupers
- Cleaner stations with batfish
- More “shy” species that avoid the main rock’s crowds
Because you spend more time at depth, this dive requires good control, good awareness, and a guide who knows the site well.
Is It Worth It? (Short Answer)
✔ Yes — absolutely worth it, if conditions are good and you’re a confident diver.
Expect:
- Fewer people
- More natural, undisturbed behavior from fish
- Better chances of seeing big hunting action
- A more adventurous dive with slightly deeper landscapes
If you’re an Open Water diver with limited experience, or if currents are strong, skipping it is the safest choice. You won’t miss out on the main highlights of Sail Rock — but if you can do it, the Secret Pinnacle is a fantastic bonus.
Is Sail Rock Suitable for Beginners?
Sail Rock is one of the best places to develop your diving skills, but it’s not the easiest site for total beginners. I actually completed part of my Advanced Open Water course here, including the famous Deep Adventure Dive where we did the classic egg experiment at depth. It’s an unforgettable spot to learn—but only if you already feel comfortable underwater.
Minimum Certification Levels (Realistic)
- Open Water Divers → Yes, but preferably with a few dives logged already.
- Advanced Open Water Divers → Ideal, especially if you want to enjoy the deeper parts of the pinnacle (25–30 m).
- DSDs / Try Divers → Not recommended. The depth, currents, and boat traffic make Sail Rock a poor choice for a first-ever dive.
If you are planning to train, Sail Rock is fantastic for AOW Deep, Navigation, or Peak Performance Buoyancy.
Conditions That Challenge New Divers
Even on calm days, Sail Rock can be tricky if you’re very new:
- Currents
Can be mild, moderate, or occasionally strong—especially around the corners and the Secret Pinnacle area. - Thermoclines
Sudden drops in temperature and visibility. This is where many divers do the “egg skill” to see how pressure changes texture. - Crowded chimney
When multiple boats arrive, the entrance to The Chimney becomes a traffic point where buoyancy control matters. - Variable visibility
Can go from 20+ m down to 5–8 m depending on plankton and season.
Who Will Love Sail Rock (Skill-Based Recommendations)
✔ Confident Open Water divers
You’ll enjoy slow tours around the main pinnacle, the huge schools of fish, and the shallow plateaus full of life.
✔ Advanced divers
You get the full experience: The Chimney, the deeper terraces, thermoclines, and maybe even a whale shark.
✔ Photographers & videographers
Perfect for wide-angle, schooling fish, and natural light at mid-depth.
✔ Training divers
If you’re doing AOW, Deep, or buoyancy work, Sail Rock is a fantastic underwater “classroom”—I did mine here and it couldn’t have been more memorable.
How to Get to Sail Rock (From Koh Tao, Koh Phangan & Koh Samui)
If you’re planning a trip to Sail Rock, the island you depart from makes a big difference. Each location has its own travel time, price range, and style of trip—so choosing the right base can save you both money and time
From Koh Tao
Travel time:
🕒 1.5 to 2 hours depending on the boat and weather.
Typical trip structure:
- 2 dives at Sail Rock
- 1 extra dive on the way back (usually at a Koh Tao site like Mango Bay, Hin Wong, or Lighthouse Bay)
- Breakfast + light lunch included on most boats
- Boats tend to be big with many divers (Koh Tao is the Gulf’s training hub)
Pros:
- Great value for money
- Lots of dive schools → competitive pricing
- Chance to do 3 dives
Cons:
- Longest travel time
- Boats often crowded, especially in peak season
- Surface conditions can be rough on the way back
From Koh Phangan
Travel time:
🕒 45 minutes to 1 hour → The closest island to Sail Rock.
Why it’s the best route:
- Fastest trip
- Cheaper than Samui
- Most frequent departures
- Boats arrive earlier → less crowding
Pros:
- Perfect for a half-day trip
- Good for divers who want comfort without Samui prices
- Great if you’re staying in Chaloklam or Thong Sala
Cons:
- Fewer dive operators than Tao (but still plenty)
- Some boats can be smaller, so motion-sensitive divers should pick their operator carefully

From Koh Samui
Travel time:
🕒 45 minutes to 1 hour by speedboat (fast but depends on sea state)
What to expect:
- Most Samui operators use high-powered speedboats
- Trips are comfortable but pricier
- Often a 2-dive morning trip with hotel pickup
Pros:
- Fastest journey if you count “door-to-boat” convenience
- Very comfortable boats with good service
- Great option if you’re staying with family or non-divers
Cons:
- Most expensive departure point
- Trips may be cancelled more often due to waves
- Smaller boats → motion sickness can be a problem
Price Comparison Table
| Departure Island | Typical Price (per diver) | Travel Time | What’s Included | Ideal For |
| Koh Phangan | €65–€90 | 45–60 min | 2 dives, equipment, light meal | Best value, quickest route |
| Koh Tao | €80–€110 | 1.5–2 hrs | 3 dives total, equipment, meals | Extra dive + budget options |
| Koh Samui | €120–€160 | 45–60 min via speedboat | 2 dives, equipment, transfers | Comfort + convenience |
Best Dive Schools for Sail Rock
Choosing a good dive school for Sail Rock matters more than most people realise. Currents can change quickly, the site gets busy in high season, and the quality of the briefing and guiding really shapes your experience.
Instead of listing dozens of operators, here are the schools I personally trust — based on real dives, not advertising.
How I Picked These Schools
These are the factors I always look at before booking a Sail Rock trip:
- Safety record & equipment quality
- Experienced instructors who know the currents
- Reasonable DM-to-diver ratios (small groups feel much safer here)
- Fuel-efficient, well-maintained boats
- Consistent trips throughout the year
- Clear briefings about depth, the Chimney, and the Secret Pinnacle
- Photography-friendly (space, rinsing buckets, timings)
Both schools below tick those boxes — and I’ve personally dived with them.
Haad Yao Divers (Koh Phangan)
I’ve done several Sail Rock trips with Haad Yao Divers, and they remain one of my favourites on the island. Their groups are small, their dive masters know the pinnacle extremely well, and they run trips regularly during the season.
Their briefings are among the clearest I’ve had, especially regarding entry points, current expectations, and the Chimney.
Pros:
- Smaller groups → safer & calmer dives
- Professional, experienced guides
- Friendly team atmosphere
- Great for both fun divers and courses
Con:
- Not the cheapest — but worth it for the service
Crystal Dive (Koh Tao)
Crystal Dive is one of the biggest and best-established schools on Koh Tao, and I’ve done Sail Rock with them too. Their boats are large, well organised, and ideal if you want to combine Sail Rock with two extra fun dives or are doing training (AOW, Deep, etc.).
Pros:
- Very professional setup
- Solid safety procedures
- Good value packages, especially for multiple dive days
- Perfect if you want a 3-dive day
Cons:
- Bigger groups due to their size
- Boats can get busy in peak season
Which School Should You Choose? (Quick Guide)
- If you want the shortest trip + small groups → choose Haad Yao Divers (Phangan)
- If you want 3 dives + lots of training options → choose Crystal Dive (Tao)
- If you are staying on Samui → choose a local operator, but check group sizes carefully
Sail Rock FAQs
How deep is Sail Rock?
The pinnacle starts at around 5–6 metres and drops vertically to about 30–32 metres, with the surrounding sandy bottom reaching 40 metres. Most recreational dives stay between 12 and 25 metres, where the action is.
Is Sail Rock good for beginners?
It can be, but it really depends on conditions.
Sail Rock is best enjoyed by Open Water divers with a few logged dives or Advanced divers, because currents, thermoclines, and the busy Chimney can be challenging. Discovery dives (DSDs) are not recommended here.
Can you see whale sharks at Sail Rock?
Yes — Sail Rock is one of the best places in the Gulf of Thailand for whale shark encounters, especially juvenile ones around 3–4 metres. Sightings are never guaranteed, but they happen regularly during plankton-rich months. I’ve personally seen multiple whale sharks here over the years.
Is the Chimney safe?
Yes, if you have decent buoyancy and follow your guide.
The Chimney is a vertical swim-through between 18 metres (entry) and 6 metres (exit). It’s safe when you enter one group at a time, stay centred, and avoid touching the walls. New divers should only attempt it with a calm group and good visibility.
Which island is best for diving Sail Rock?
The most convenient starting point is Koh Phangan — it’s the closest and usually the cheapest.
Koh Tao takes longer but has the biggest number of dive schools.
Koh Samui is the furthest, so trips are more expensive, though speedboats make the ride fairly quick.
Final Thoughts: Why Sail Rock Is the Gulf of Thailand’s Must-Dive Site
Sail Rock has a way of staying with you.
Maybe it’s the moment you descend and see the pinnacle rising out of the blue, or the sudden rush of life around the Chimney. Maybe it’s the calm pause between dives when the Gulf stretches out around you and you realise how far from everything you are.
For me, Sail Rock is the one site in the Gulf where every dive feels different — sometimes calm and glittering with baitfish, sometimes full of movement with trevallies hunting, and sometimes graced by the slow, gentle pass of a whale shark. It’s always a little wild, always a little unpredictable, and that’s exactly what makes it unforgettable.
If you’re planning a trip to Koh Tao, Koh Phangan, or Koh Samui, make room in your itinerary for Sail Rock. It’s the kind of dive that reminds you why you started diving in the first place.
Want to keep exploring?
You can check my guides on Koh Phi Phi diving, Koh Lanta Diving, or my whale sharks Thailand experience.
